Menu principal mobile
Voltar
para lista

Condomínio Fechado 2 Dorms à Venda Brasilândia 194 m² por R$ 829.00000

Brasilândia - São Paulo - Zona Norte

R$ 829.000,00

2 quartos
- suíte
4 vagas
194 m²
2 quartos
- suíte
4 vagas
194 m²
Atualizado em: 16/04/2026

Brasilândia - São Paulo - Zona Norte

Descrição do Imóvel

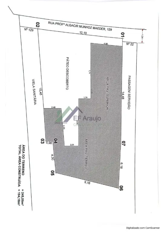
? Oportunidade para Construtores | Terreno com Casas - 245m² | Brasilândia
Excelente oportunidade para investidores e construtores em uma das regiões que mais crescem e se valorizam na Zona Norte de São Paulo!
Terreno com 245m² e ótimo potencial para incorporação residencial (villagio/condomínio) ou uso comercial.
Características do imóvel:
3 casas no terreno, sendo 2 térreas Ambientes amplos e bem distribuídos Salas com 2 ambientes 2 dormitórios por unidade 1 banheiro Cozinha com copa Área de serviço 4 vagas de garagem Potencial do terreno:
Área total de 245m² Ideal para condomínio residencial ou renda com locação Região com forte crescimento e valorização imobiliária Localização estratégica:
A aproximadamente 400 metros da futura estação do metrô Brasilândia, com fácil acesso à Rua Parapuã, Avenida Itaberaba e à Marginal Tietê.
Região com ampla infraestrutura: comércios, supermercados, bancos, transporte público e grande potencial de valorização com a chegada do metrô.
Excelente opção para investimento com alto potencial de retorno!
Agende sua visita: Edson Felix de Araujo - Fone: 11 9 9217 0015
(11) 9 9217-0015


Chave do anúncio: CsC1vy9EbbfyZE6V

Informar erro ou problema no anúncio
Todas as informações deste anúncio são fornecidas pelo anunciante.
O Portal SP Imóvel fica isento de qualquer responsabilidade.
Creci - Procure sempre um corretor credenciado.

Blog do Grupo SP Imóvel

Confira a ampla pesquisa que realizamos sobre financiamento imobiliário em nosso blog. Clique nos links abaixo:
Contate o anuciante


45 pessoas visualizaram esse imóvel recentemente
CRECI: 229.936-F

Edson Felix de Araujo - Corretor de Imóveis


Ver telefone e
dados do anunciante
(11) 9921...
(11) 99217-0015
Código do imóvel:
ED064
Ao ligar, diga que viu este
anúncio no Portal SP Imóvel
Endereço do anunciante:


Freguesia do Ó - São Paulo